Chuyện một khu dân cư ở TP Biên Hòa: Đi không được, ở cũng không xong
Từ một khu rừng hoang vu sau ngày đất nước được giải phóng, đồi Đá Trắng được người dân đi kinh tế mới theo tiếng gọi của Đảng và Nhà nước đã vượt qua hàng ngàn khó khăn để khai hoang, lập ấp, sinh sống ổn định. Tuy vậy, đến nay, sau gần một nửa thế kỷ, hàng trăm hộ dân đang chơi vơi giữa cảnh đi không được, ở cũng không xong khi những quyền lợi chính đáng nhất của họ đang bị chính quyền địa phương từ chối.

Một con đường bê tông là mơ ước của hàng trăm hộ dân sinh sống gần một nửa thế kỷ ở đây.
Từ một khu rừng hoang vu sau ngày đất nước được giải phóng, đồi Đá Trắng được người dân đi kinh tế mới theo tiếng gọi của Đảng và Nhà nước đã vượt qua hàng ngàn khó khăn để khai hoang, lập ấp, sinh sống ổn định. Tuy vậy, đến nay, sau gần một nửa thế kỷ, hàng trăm hộ dân đang chơi vơi giữa cảnh đi không được, ở cũng không xong khi những quyền lợi chính đáng nhất của họ đang bị chính quyền địa phương từ chối.
Anh Nguyễn Trọng Hưởng và gia đình sinh sống tại khu phố 4C, phường Trảng Dài, TP Biên Hòa (Đồng Nai) suốt 25 năm mà vẫn chưa biết đến các chương trình truyền hình vì phải đi xin nhờ điện với giá quá cao; chị Nguyễn Thị Lệ chưa dám cho con cái lập gia đình dù đã đến tuổi dựng vợ gả chồng vì không thể xây, sửa nhà cửa.
Một trường hợp khác là cụ bà Nguyễn Thị Lâm, 93 tuổi đã sống gần hết cuộc đời tại mảnh đất này nhưng đến nay, ở cái tuổi gần đất xa trời, bà vẫn chưa được được an cư, vẫn mỏi mòn trông chờ ngày nhìn thấy mảnh giấy chứng nhận quyền sử dụng đất để làm thủ tục di chúc lại cho con cháu … là số ít trong hàng chục hoàn cảnh éo le mà người dân sinh sống tại KP 4C, phường Trảng Dài và KP 10, phường Tân Biên (TP Biên Hòa) đang gặp phải.
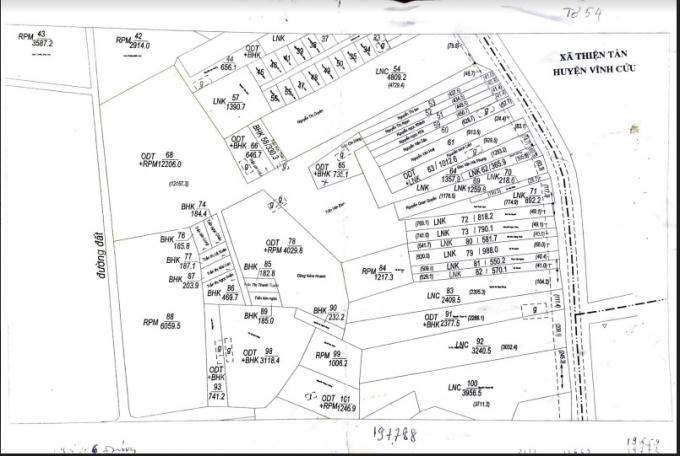
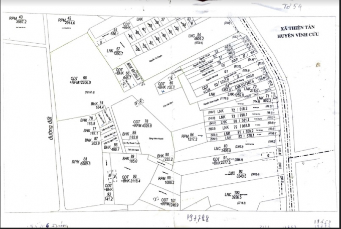
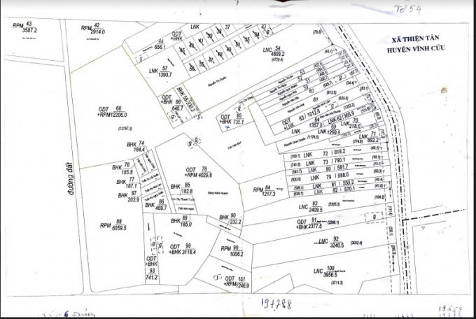
Tất cả những khó khăn nói trên mà người dân đang gánh chịu là vì Quyết định 1816/QĐ.CT.UBT ngày 12/5/2005 của UBND tỉnh Đồng Nai về việc phê duyệt dự án quy hoạch xây dựng và phát triển rừng phòng hộ, cảnh quan Lâm trường Biên Hòa của UBND tỉnh Đồng Nai.
Theo tìm hiểu của phóng viên Báo Pháp luật Việt Nam, ngày 26/10/2016, Chủ tịch UBND TP Biên Hòa có văn bản gửi UBND tỉnh Đồng Nai xin chủ trương khai thác và phát triển rừng phòng hộ phục vụ du lịch sinh thái Thành phố Biên Hòa. Ngay sau đó, kế hoạch trên được giao cho Công ty cổ phần Đầu tư Phát triển Cường Thuận IDICO lập phương án đầu tư phát triển du lịch sinh thái rừng phòng hộ.
Ngày 16/5/2017, Chủ tịch UBND TP Biên Hòa tiếp tục chủ trì cuộc họp về công tác khai thác, phát triển sinh thái rừng phòng hộ cảnh quan Trung tâm lâm nghiệp Biên Hòa. Theo đó, cơ quan này lưu ý Phòng Tài nguyên và Môi trường nghiên cứu Quyết định số 1816/QĐ.CT.UBT ngày 12/5/2005 của UBND tỉnh Đồng Nai để làm cơ sở triển khai thu hồi đất, bồi thường và bố trí tái định cư.
Đến ngày 26/7/2017, UBND TP. Biên Hòa tiếp tục có cuộc họp cũng với nội dung tương tự. Tuy nhiên, từ đó đến nay, dự án vẫn bỏ ngỏ, trong khi mọi hoạt động liên quan đến việc cấp giấy chứng nhận quyền sử dụng đất và các thủ tục hành chính liên quan của 142 hộ dân tại đây bị cách lại.
Thậm chí, đến nay, 142 hộ dân ở khu phố 4C phường Trảng Dài và khu phố 10 phường Tân Biên chưa được một lần mua điện, nước chính thức, trong khi phải chạy vạy khắp mọi nơi, tìm đủ mọi cách, và tốn rất nhiều tiền mới có thể mua điện tạm thời. Chưa hết, nhà cửa xuống cấp trầm trọng nhưng không dám sửa chữa, không được xây cất mới.

Gian nhà vách đất vẫn tồn tại hàng chục năm nay mà không thể xây cất mới.
Cũng cần phải khẳng định lại rằng, 142 hộ dân hiện tại đang sinh sống trên diện tích đất có nguồn gốc ổn định, được khai phá từ năm 1976 theo chủ trương phát triển kinh tế mới của Đảng và Nhà nước. Sau khi khai hoang, ổn định cuộc sống thì đến năm 1985 một số hộ dân được sở xây dựng tỉnh Đồng Nai cấp chủ quyền nhà ở. Từ năm 1992 đến năm 2000 nhà nước triển khai thu thuế đất nông nghiệp đối với các hộ dân nói trên (năm 1994 đến 1996 một số hộ dân nộp qua Lâm trường Biên Hòa). Năm 1996, Chủ tịch UBND Thành phố Biên Hòa ra quyết định về việc ổn định dân cư.
Theo đó, năm 2000, các hộ dân được Sở địa chính đo đạc, cấp biên nhận và đến năm 2006 cơ quan này lại đo lại một lần nữa. Theo đó, đất các hộ dân có số tờ số thửa rõ ràng và được UBND phường Trảng Dài phát tờ kê khai làm hồ sơ đóng thuế đất nông nghiệp, thuế nhà.

Khu dân cư ổn định, nằm ngoài phạm vi đất rừng vẫn bị từ chối cấp giấy chứng nhận quyền sử dụng đất.
Điều đáng nói hơn, khu dân cư ở dốc Đá Trắng xưa, nay là KP 4C, phường Trảng Dài và KP 10, phường Tân Biên đã sinh sống ổn định trước khi Trung tâm Lâm nghiệp Biên Hòa thành lập. Theo các hộ dân thì vị trí mà họ khai hoang và sinh sống không hề có hợp đồng giao rừng và không nằm trong phạm vi quản lý của Trung tâm Lâm nghiệp Biên Hòa.
Báo Pháp luật Việt Nam sẽ tiếp tục thông tin.











