Bà Rịa - Vũng Tàu: Cần sớm giải quyết dứt điểm tố cáo của công dân
Nhiều năm qua, bà Trần Thị Kim Chi (SN 1967, ngụ xã Long Mỹ, huyện Đất Đỏ, Bà Rịa - Vũng Tàu) có nhiều đơn tố cáo đến các cơ quan chức năng. Nhưng bà Chi cho rằng các cơ quan chức năng giải quyết chưa thỏa đáng nên tiếp tục khiếu nại, tố cáo.
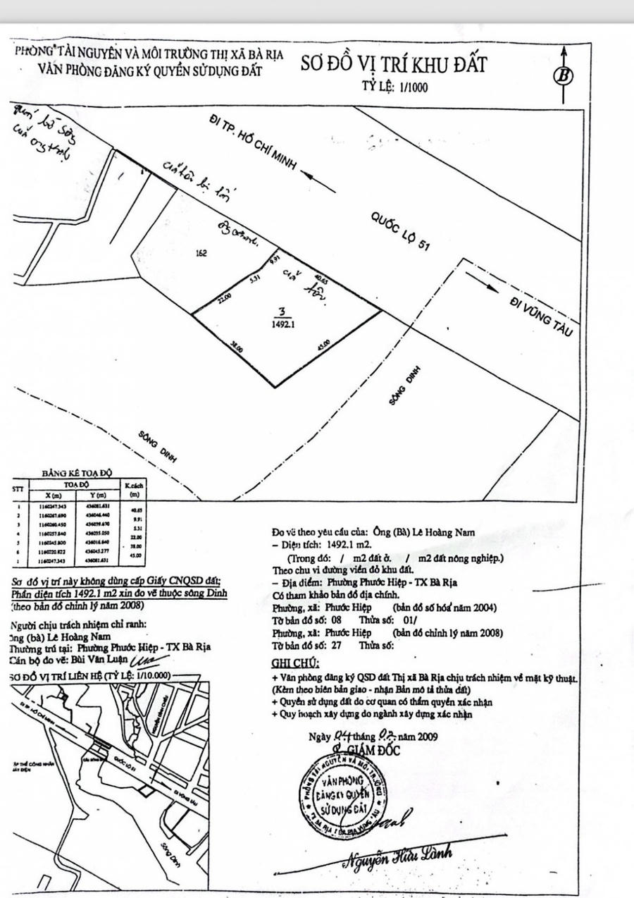
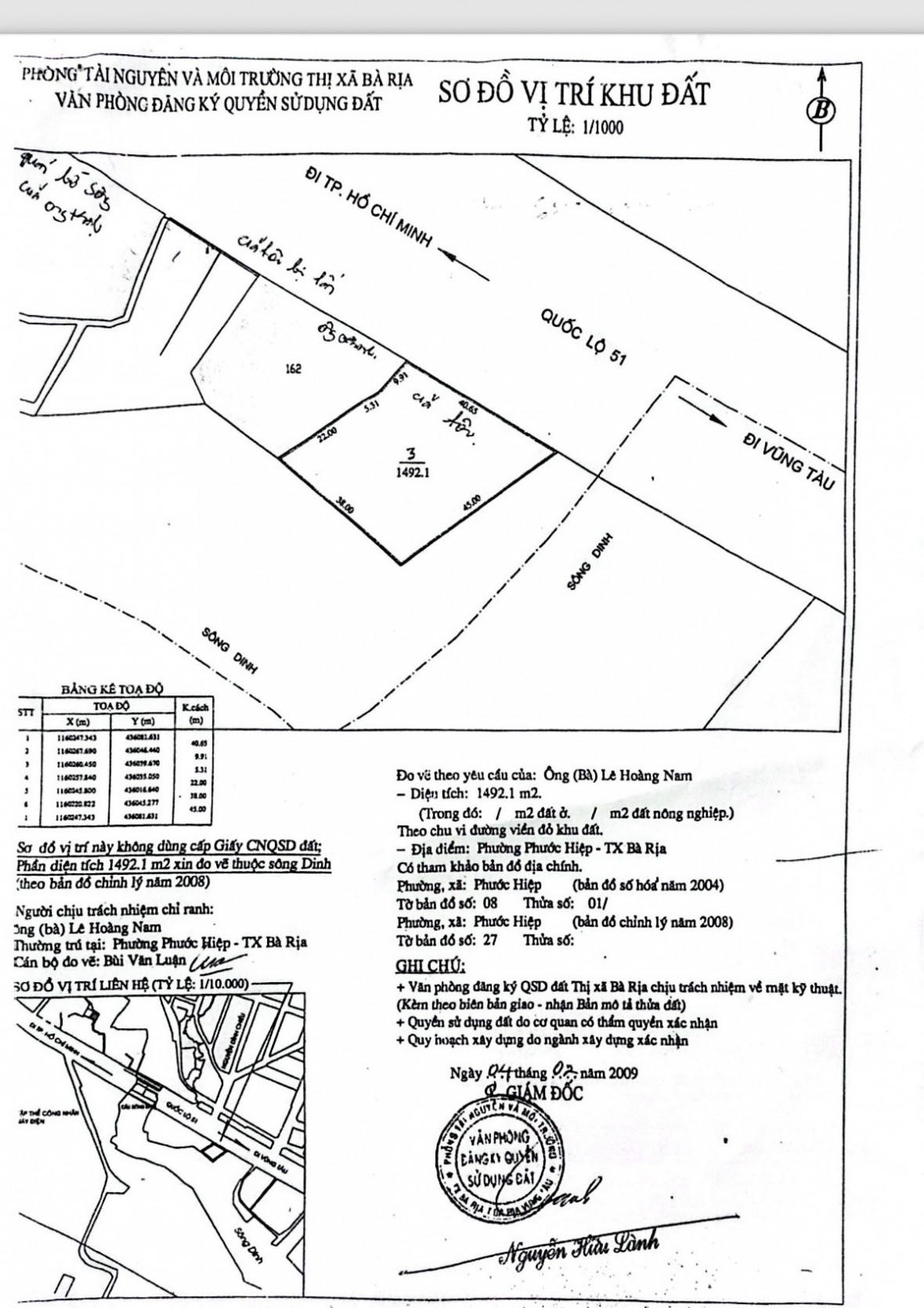
Theo hồ sơ, thửa đất 08 tờ bản đồ 01, này là tờ bản đồ 27 (bản đồ 2008) được đo đạc có diện tích 1492.1m2, mặt tiền giáp đường quốc lộ 51 thuộc phường Phước Hiệp, TX Bà Rịa (nay là TP Bà Rịa), tỉnh Bà Rịa - Vũng Tàu do ông Lê Hoàng Nam (SN 1955) khai phá, sử dụng nuôi trồng thủy sản từ năm 1987.
Năm 2009, ông Nam tiến hành các thủ tục xin cấp “sổ đỏ”. Tại phiếu lấy ý kiến của khu dân cư, biên bản xác minh của UBND phường Phước Hiệp cùng ngày 27/4/2009, xác định nguồn gốc đất đúng như trên và ông Nam sử dụng ổn định, không xảy ra tranh chấp. Thửa đất trên được Văn phòng ĐKĐĐ Bà Rịa đo vẽ, xác nhận điện tích nêu trên.

Ngày 26/7/2010, ông Nam lập hợp đồng chuyển nhượng cho bà Chi toàn bộ diện tích 1492,1 m2 với số tiền 1 tỷ đồng.
Do ông Nam đang làm thủ tục xin cấp “sổ đỏ” nên sau khi chuyển nhượng, ngày 27/7/2010 ông Nam lập ủy quyền cho bà Chi thực hiện các thủ tục còn lại cho đến khi được cấp “sổ đỏ”.
Ngoài ra, bà Chi còn nhận chuyển nhượng phần đất của vợ chồng ông Lê Anh Đào và bà Ôn Thị Kim Thảo. Phần đất này có diện tích ngang 12,5m, dài từ đường quốc lộ 51 đến bờ sông Dinh. Khu đất này tiếp giáp với đất của ông Nguyễn Văn Thanh (Trưởng phòng TNMT Bà Rịa).
Ngày 6/12/2018, bà Chi có đơn khiếu nại và tố cáo (tiếp tục) tố cáo ông Nguyễn Văn Thanh - Trưởng phòng TNMT Bà Rịa. Theo bà Chi, sau khi bà nhận chuyển nhượng, bà nhiều lần đến cơ quan nhà nước đăng ký cấp “sổ đỏ” nhưng bị ông Thanh liên tiếp ngăn cản, chèn ép không cho hợp thức hóa vì ông Thanh thời điểm đó là cán bộ quản lý đất đai tại địa phương. Trong khi phần đất của ông Thanh tiếp giáp với đất của bà Chị thì đã được cấp “sổ đỏ”.
Bà Chi còn cho rằng ông Thanh lấn chiếm, tự ý đập phá căn nhà mái tôn vách ván và xây dựng trái phép trên khu đất mà bà mua của ông Nam.

Ngày 24/12/2018, Thường trực Tỉnh ủy Bà Rịa - Vũng Tàu có phiếu chuyển 269-PC/TU chuyển đơn của bà Chi có nội dung: “Tố cáo hành vi lấn chiếm, chiếm đoạt QSDĐ trái pháp luật của ông Nguyễn Văn Thanh; đề nghị sớm giải quyết nội dung tố cáo này của bà” đến UBND tỉnh để xem xét, xử lý, trả lời công dân và báo cáo kết quả đến Thường trực Tỉnh ủy.
Ngày 10/1/2019, UBND tỉnh chuyển đơn nêu trên đến UBND TP Bà Rịa để xem xét, giải quyết đơn.
Ngày 14/01/2019, UBND TP Bà Rịa có văn bản 357/UBND-VP chuyển đơn nêu trên đến Thanh tra TP Bà Rịa; giao Chánh Thanh tra chủ trì phối hợp với các ngành chức năng rà soát hồ sơ có liên quan, kiểm tra, xác minh nội dung đơn, báo cáo đề xuất UBND TP xem xét, giải quyết. Thanh tra TP báo cáo về UBND TP; đồng thời gửi Ban Tiếp công dân TP trước ngày 25/01/2019.
Ngày 07/03/2019, UBND tỉnh Bà Rịa - Vũng Tàu có thông báo 117/TB-UBND về kết luận của Phó Chủ tịch UBND tỉnh Nguyễn Thanh Tịnh tại cuộc họp nghe báo cáo giải quyết tố cáo của công dân đối với ông Nguyễn Văn Thanh - Trưởng phòng TNMT Bà Rịa.
Tham dự buổi họp có đại diện các Sở Ngành và sau khi nghe báo cáo của Thanh tra tỉnh, Phó Chủ tịch UBND tỉnh Nguyễn Thanh Tịnh đống ý với kiến nghị của Thanh tra tỉnh về việc chuyển toàn bộ hồ sơ vụ việc đến Cơ quan CSĐT Công an tỉnh để làm rõ vụ việc theo quy định pháp luật. Giao Thanh tra tỉnh chuyển hồ sơ đến Cơ quan CSĐT Công an tỉnh trong thời hạn 05 ngày kể từ ngày nhận được Thống báo này. Sau khi có kết quả điều tra của Cơ quan CSĐT Công an tỉnh, Thanh tra tỉnh tiếp tục tham mưu để UBND tỉnh giải quyết tố cáo của công dân đối với ông Nguyễn Văn Thanh - Trưởng phòng Tài nguyên và Môi trường.
Theo bà Chi, sau này, Thanh tra tỉnh kết luận buộc ông Thanh tháo dỡ những công trình xây dựng trái phép và trả lại phần đất đã lấn chiếm.
Tuy nhiên, bà Chi cho rằng quá trình trả lại đất cho bà, các cơ quan chức năng không cho bà tham gia chứng kiến quá trình đo vẽ, dẫn đến có sai lệch về diện tích.
Bà Chi cho rằng theo bản đồ đo vẽ năm 2009, diện tích ông Nam bán cho bà là 1.492,1 m2 nhưng khi trả lại thì chỉ trả 1.270,3 m2. Bà Chi giao nộp bản vẽ năm 2009 nhưng không được xem xét.
“Do việc đo vẽ không có sự chứng kiến của tôi, người trực tiếp khiếu nại tố cáo và không xem xét chứng cứ là không khách quan, dẫn đến ông Thanh vẫn chưa tháo dỡ hết phần công trình xây dựng trái phép, lấn chiếm trên đất của tôi” - bà Chi nói.
Bà Chi đề nghị các cơ quan chức năng tiếp tục giải quyết dứt điểm cho bà vì bà đã mất quá nhiều thời gian tố cáo, khiếu nại.










