Lần đầu tiên trong lịch sử sòng bạc Macau đóng cửa do siêu bão Mangkhut
Xảy ra vào cuối tuần, đợt đóng cửa này được cho là gây thiệt hại lớn cho ngành công nghiệp bài bạc của Macau...
Xảy ra vào cuối tuần, đợt đóng cửa này được cho là gây thiệt hại lớn cho ngành công nghiệp bài bạc của Macau...
Mangkhut là siêu bão mạnh nhất từ đầu năm đến nay đã đổ bộ vào Hong Kong từ trưa ngày 16/9 kéo theo mưa lớn, gió giật rất mạnh.
Mangkhut là siêu bão mạnh nhất từ đầu năm đến nay đã đổ bộ vào Hong Kong từ trưa ngày 16/9 kéo theo mưa lớn, gió giật rất mạnh.
Trung tâm khí tượng quốc gia Trung Quốc ngày 16/9 tiếp tục đưa ra cảnh báo đỏ đối với siêu bão Mangkhut. Đây là cảnh báo nghiêm trọng nhất trong hệ thống cảnh báo thời tiết gồm 4 màu của Trung Quốc.
Phó viện trưởng Viện Khoa học khí tượng thủy văn và biến đổi khí hậu (Viện KHKTTV&BĐKH) Mai Văn Khiêm đưa ra lý giải về quỹ đạo của siêu bão Mangkhut.
Theo dự báo Trung tâm Khí tượng Thủy văn Quốc gia, do ảnh hưởng của bão số 6 - siêu bão MangKhut khiến Bắc Bộ mưa lớn diện rộng. Thủ đô Hà Nội nhiệt độ giảm nhanh, có mưa dông kèm gió giật mạnh.
Theo dự báo Trung tâm Khí tượng Thủy văn Quốc gia, do ảnh hưởng của bão số 6 - siêu bão MangKhut khiến Bắc Bộ mưa lớn diện rộng. Thủ đô Hà Nội nhiệt độ giảm nhanh, có mưa dông kèm gió giật mạnh.
Siêu bão Mangkhut với sức gió lên tới 320 km/giờ đã quét qua Philippines vào ngày 15/6.
Siêu bão Mangkhut đổ bộ vào phía Bắc Philippines sáng sớm 15/9 đã gây mưa lớn và gió giật mạnh tại nhiều khu vực, cuộc sống của người dân bị đảo lộn.
Siêu bão Mangkhut đổ bộ vào phía Bắc Philippines sáng sớm 15/9 đã gây mưa lớn và gió giật mạnh tại nhiều khu vực, cuộc sống của người dân bị đảo lộn.
Rạng sáng nay, ngày 15/9, siêu bão Mangkhut đã chính thức đổ bộ vào miền bắc Philippines, mang theo những đợt gió giật dữ dội cùng các cơn mưa lớn, trắng trời đất.
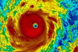
Siêu bão Mangkhut - cơn bão cấp 5 - cấp cao nhất trên thang bão Đại Tây Dương Hurricane Category của Mỹ, đã trở thành cơn bão mạnh nhất năm 2018 khi đạt đỉnh hôm 12/9 với sức gió lên tới 285km/h, theo CNN.
Bão Mangkhut sẽ ảnh hưởng trực tiếp đến vịnh Bắc Bộ trong khoảng ngày 16-17/9 với sức gió giật 200km/giờ.