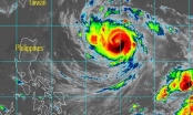
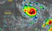
Siêu bão Yutu giật trên cấp 17 đang rất gần Biển Đông
Trong khoảng 24 bão di chuyển chủ yếu theo hướng Tây, cách quần đảo Hoàng Sa khoảng 670km về phía Đông
Họp báo vụ đổi 100 USD bị phạt 90 triệu đồng: Công an khẳng định không gài bẫy doanh nghiệp
12 sản phẩm sản phẩm thực phẩm bảo vệ sức khỏe của Công ty Thảo dược Phú Tường bị thu hồi
Thủ tục, thời hạn sang tên sổ đỏ là bao lâu?
Cảnh báo của Tổng bí thư–Chủ tịch nước Nguyễn Phú Trọng
Bắt quả tang đối tượng xưng nhà báo tống tiền doanh nghiệp 50 triệu đồng
Tin nên đọc




Trung tâm Dự báo Khí tượng thủy văn Trung ương cho biết, hồi 01 giờ ngày 29/10, vị trí tâm bão ở vào khoảng 17,7 độ Vĩ Bắc; 126,9 độ Kinh Đông, cách đảo Lu-Dông (Philippines) khoảng 480km về phía Đông. Sức gió mạnh nhất vùng gần tâm bão mạnh cấp 15 (165-185km/giờ), giật trên cấp 17.

Dự báo trong 24 giờ tới, bão di chuyển theo hướng Tây Tây Nam, mỗi giờ đi được 15-20km. Đến 01 giờ ngày 30/10, vị trí tâm bão ở khoảng 16,7 độ Vĩ Bắc; 122,8 độ Kinh Đông, ngay trên vùng biển phía Đông đảo Lu-Dông. Sức gió mạnh nhất vùng gần tâm bão mạnh cấp 15 (165-185km/giờ), giật cấp 17.
Trong 24 đến 48 giờ tiếp theo, bão di chuyển chủ yếu theo hướng Tây, mỗi giờ đi được 15-20km. Đến 01 giờ ngày 31/10, vị trí tâm bão ở khoảng 16,6 độ Vĩ Bắc; 118,7 độ Kinh Đông, cách quần đảo Hoàng Sa khoảng 670km về phía Đông. Sức gió mạnh nhất vùng gần tâm bão mạnh cấp 12-13 (120-150km/giờ), giật cấp 16.
Trong 48 đến 72 giờ tiếp theo, bão di chuyển theo hướng Tây Tây Bắc, mỗi giờ đi được khoảng 15km. Đến 01 giờ ngày 01/11, vị trí tâm bão ở khoảng 17,8 độ Vĩ Bắc; 116,4 độ Kinh Đông, cách quần đảo Hoàng Sa khoảng 480km về phía Đông Đông Bắc.
Sức gió mạnh nhất vùng gần tâm bão mạnh cấp 11-12 (100-135km/giờ), giật cấp 15. Cấp độ rủi ro thiên tai trên khu vực Đông Bắc Biển Đông: cấp 3./.

