Siêu bão Sinlaku mạnh cấp 16, giật trên cấp 17 mạnh nhất thế giới năm 2026
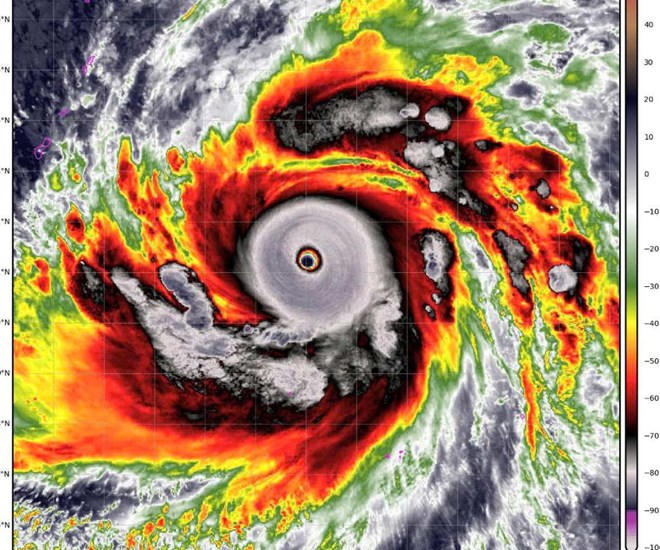
Bão Sinlaku vừa được nâng lên cấp siêu bão với sức gió 105 hải lý/giờ và áp suất trung tâm chỉ 920 hPa, trở thành cơn bão mạnh nhất toàn cầu tính đến thời điểm này trong năm 2026.

Trung tâm Dự báo Khí tượng Thủy văn Quốc gia cho biết sức gió vùng tâm siêu bão Sinlaku đã tăng lên 105 knots, tương đương cấp 16, giật trên cấp 17 (khoảng 194,46 km/h). Đây là cơn bão đầu tiên trong năm 2026 đạt cường độ siêu bão.
Điều khiến giới chuyên môn đặc biệt chú ý là Sinlaku xuất hiện vào tháng 4 thời điểm cực kỳ hiếm để một cơn bão đạt ngưỡng này.
Theo Trung tâm Dự báo Khí tượng Thuỷ văn Quốc gia, kể từ năm 1977 đến nay, chỉ có 3 cơn siêu bão hình thành trong tháng 4, trong đó gần nhất là bão Surigae năm 2021. Sinlaku là cơn thứ ba trong gần 50 năm qua, cho thấy đây là hiện tượng thời tiết bất thường đáng chú ý.
Với áp suất trung tâm đo được ở mức 920 hPa, Sinlaku hiện là cơn bão mạnh nhất thế giới trong năm 2026, vượt qua bão Maila đang hoạt động ở khu vực Australia với áp suất 924 hPa, với chỉ số áp suất này cho thấycow bão này ở ngưỡng cực nguy hiểm.
Theo các dự báo hiện tại, siêu bão Sinlaku sẽ đổi hướng lên phía bắc, sau đó tiếp tục chuyển sang hướng bắc - đông bắc vào khoảng ngày 16 - 17/4, di chuyển ra vùng biển phía đông Nhật Bản. Khi đó, cường độ bão sẽ giảm dần do điều kiện môi trường không còn thuận lợi.
Trung tâm khí tượng Thuỷ văn Quốc gia cho biết, siêu bão Sinlaku không có khả năng tiến vào Biển Đông.
Tuy nhiên, cơ quan này vẫn đang theo dõi sát diễn biến của siêu bão này, bởi với một cơn bão có cường độ bất thường và hình thành vào thời điểm hiếm gặp, mọi diễn biến đều cần được cập nhật liên tục.












