Sacombank thu về hàng nghìn tỉ nhờ thanh lí hai tài sản lớn tại Cần Thơ và TP HCM?
Ngân hàng TMCP Sài gòn Thương Tín cho biết đã bán thành công tài sản có diện tích hơn 602 nghìn m2 tại Dự án Khu đô thị Bình Thuỷ.
Với việc bán thanh lí thành công hai tài sản lớn là một Khu dân cư tại Cần Thơ và một lô đất lớn tại Quận 1, TP HCM, Sacombank dự kiến sẽ thu về hàng nghìn tỉ đồng từ thanh lí tài sản bảo đảm.
Ngân hàng TMCP Sài gòn Thương Tín (Sacombank - Mã : STB) cho biết đã bán thành công tài sản có diện tích hơn 602 nghìn m2 tại Dự án Khu đô thị Bình Thuỷ, TP Cần Thơ. Đây là khu đất ở đô thị gồm 2.455 quyền sử dụng đất cách trung tâm thành phố Cần Thơ 4,5 km và cách sân bay khoảng 2,5 km.

Hình ảnh từ Google của Khu dân cư Bình Thuỷ (Nguồn: Sacombank)


Hình ảnh thực tế tại khu dân cư (Nguồn: Sacombank).
Trong khu dự án, UBND Quận Bình Thuỷ, Quận uỷ, Trường học và Trung tâm y tế đã được xây dựng và đưa vào hoạt động.
Sacombank không công bố thông tin chi tiết về mức giá bán thành công nhưng trước đó vào cuối năm 2018, tài sản này được rao bán với mức giá là 3.652 tỉ đồng. Như vậy, mức giá bán thành công dự kiến sẽ mang về hàng nghìn tỉ đồng từ thanh lí tài sản cho Sacombank.
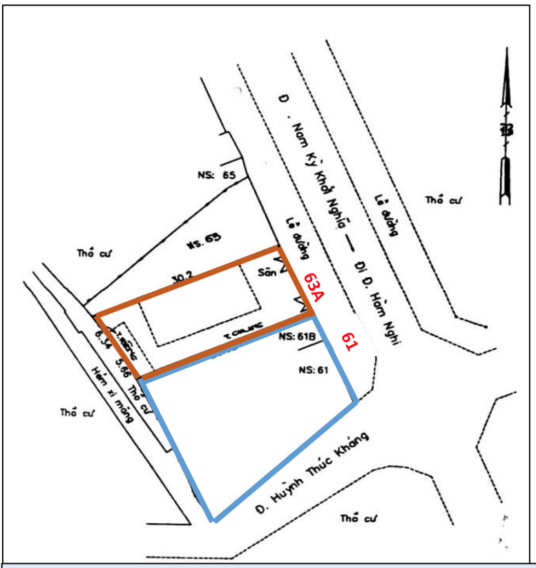
Cùng với đó, tại địa bàn TP HCM, Sacombank cũng đã thanh lí thành công tài sản số 61 - 63 Nam Kì Khởi Nghĩa, Phường Bến Thành, Quận 1. Đây là 2 lô đất sát nhau đều là đất ở đô thị với diện tích lần lượt là 471,8m2 và 346 m2 có công trình kiến trúc ở trên.
Trước đó, Sacombank đưa ra mức giá rao bán cho tài sản này là gần 730 tỉ đồng.


Hình ảnh tài sản rao bán của Sacombank tại số 61 - 63A nam Kì Khởi Nghĩa (Nguồn: Sacombank)
Như vậy với việc thanh lí thành công hai tài sản lớn trên, Sacombank dự kiến sẽ thu về hàng nghìn tỉ đồng. Thu từ hoạt động này sẽ được ghi nhận vào doanh thu hoạt động khác của ngân hàng.
Vào quí I, lãi thuần từ hoạt động khác của Sacombank cũng tăng đột biến lên gần 304 tỉ đồng trong khi cùng kì năm trước chỉ đạt hơn 55 tỉ đồng. Ngân hàng chưa đưa ra lí giải cụ thể về con số này nhưng nhiều khả năng đây là do nguồn thu từ việc xử lí tài sản.

