Chủ đầu tư Thanh Bình Village nợ 36,6 tỷ đồng tiền sử dụng đất, chậm nộp
Công ty CP giấy gỗ Hà Đông đang nợ 36,6 tỷ đồng tiền sử dụng đất, chậm nộp tại Dự án khu nhà ở Thanh Bình tại Mộ Lao, quận Hà Đông, Hà Nội.
Chây ì nộp gần 30 tỷ đồng tiền sử dụng đất tại dự án khu nhà ở Thanh Bình
Dự án KĐT mới Vân Canh của HUD nợ hơn 1.025 tỷ đồng tiền thuế


Dự án khu nhà ở Thanh Bình theo ghi nhận của phóng viên Pháp luật Plus vào tháng 11/2017.
UBND TP Hà Nội vừa có báo cáo kết quả thực hiện nội dung kết luận, kiến nghị của HĐND thành phố về tình hình quản lý các dự án đầu tư vốn ngoài ngân sách sử dụng đất chậm triển khai, vi phạm Luật Đất đai trên địa bàn thành phố.
Theo đó, từ tháng 7/2018 đến nay, Sở Tài nguyên Môi trường Hà Nội đã chủ trì, phối hợp với các Sở, ban, ngành thành phố và UBND cấp huyện rà soát, đối chiếu và triển khai các đoàn thanh tra, kiểm tra liên ngành để thanh tra, kiểm tra việc chấp hành pháp luật đất đai đối với 379 dự án được nhà nước giao đất, cho thuê đất, chuyển mục đích sử dụng đất; tổ chức sử dụng đất có dấu hiệu vi phạm pháp luật đất đai.
Sở Tài nguyên Môi trường Hà Nội đã triển khai 5 đoàn hậu kiểm đối với 99 dự án trong việc thực hiện kết luận thanh tra, kiểm tra và chỉ đạo sau thanh tra, kiểm tra của UBND thành phố.
Kết quả cho thấy, có 20 dự án với tổng diện tích 92,1ha đất chậm hoàn thành việc thực hiện nghĩa vụ tài chính lên đến hàng nghìn tỷ đồng.

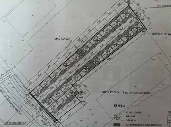
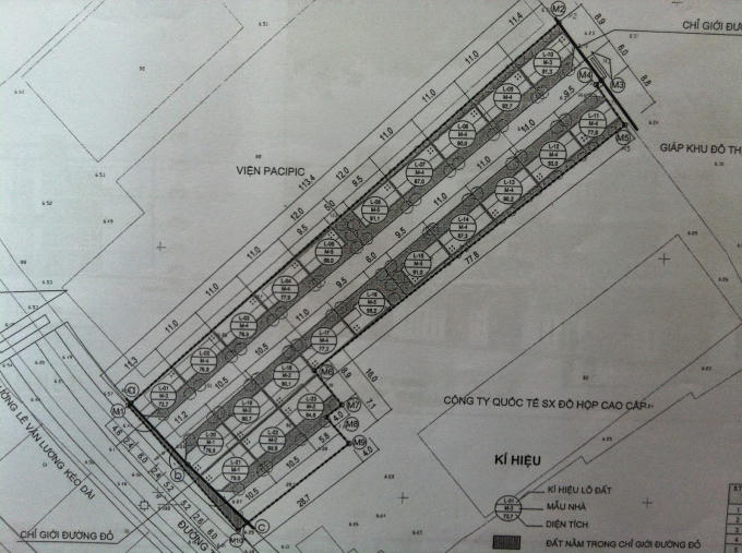
Dự án được xây dựng trên khu đất có diện tích 2.851 m2
Đáng chú ý, theo UBND TP Hà Nội, tại Dự án khu nhà ở Thanh Bình tại Mộ Lao, quận Hà Đông, Hà Nội, Chủ đầu tư là Công ty CP giấy gỗ Hà Đông đang nợ số tiền 36,6 tỷ đồng.
UBND TP Hà Nội cũng yêu cầu Chủ đầu tư khẩn trương đẩy nhanh tiến độ thực hiện dự án đối với các hạng mục công trình còn lại. Đồng thời, nộp tiền sử dụng đất, chậm nộp theo thông báo của Chi cục thuế Hà Đông và theo nội dung đã cam kết.

Hình ảnh bên ngoài dự án ở thời điểm hiện tại. (tháng 3/2021)
Theo tìm hiểu của PV, Dự án khu nhà ở Thanh Bình tại Mộ Lao, quận Hà Đông, TP Hà Nội do Công ty CP Giấy gỗ Hà Đông hợp tác cùng Công ty cổ phần đầu tư phát triển Sunrise, Công ty cổ phần dịch vụ đầu tư tài chính Việt Nam hợp tác đầu tư.
Dự án hiện còn được biết đến với cái tên Thanh Bình Village, được xây dựng trên khu đất có diện tích 2.851 m2. Hiện tại, phần lớn các căn nhà liền kề tại dự án đã được xây thô, đang dần hoàn thiện và có người vào ở.

Nhiều căn nhà tại Thanh Bình Village đã được hoàn thiện.
Theo giới thiệu của một số trang rao vặt bất động sản, Thanh Bình Village có 23 nhà liền kề với các loại diện từ 72 m2 đến 92 m2.
Khách hàng có thể lựa chọn hai hình thức mua đất nền hoặc xây thô với mức giá được chủ đầu tư công bố là 55,2 triệu/m2 với lô đất nền và cộng thêm 3,5 triệu/m2 với nhà xây thô.

Nhiều căn hộ tại dự án đang được các trang bất động sản rao bán.
Đáng chú ý, như Pháp luật Plus trước đây từng thông tin, Công ty CP Giấy gỗ Hà Đông từng lọt vào danh sách nợ tiền sử dụng đất tính đến tháng 10/2017 lên do Cục Thuế TP Hà Nội công bố.
Ở thời điểm trên, Công ty CP Giấy gỗ Hà Đông khi nợ tiền sử dụng đất lên tới 29,523 tỷ đồng tại dự án Dự án đầu tư xây dựng Khu nhà ở Thanh Bình tại đường Thanh Bình, phường Mộ Lao, quận Hà Đông, Hà Nội.

