Chây ì nộp gần 30 tỷ đồng tiền sử dụng đất tại dự án khu nhà ở Thanh Bình
Công ty CP Giấy gỗ Hà Đông nợ tiền sử dụng đất lên tới 29,5 tỷ tại dứ án khu nhà ở Thanh Bình tại 114 đường Thanh Bình, quận Hà Đông.
Chủ đầu tư nợ thuế, cần thận trọng khi mua nhà
Địa ốc 24h: Chung cư Mỹ Sơn bị đề xuất phạt 1,5 tỷ đồng, hàng loạt ông lớn BĐS bị bêu tên nợ thuế
Cục Thuế Hà Nội tiếp tục "bêu tên" 72 doanh nghiệp nợ thuế
126 đơn vị nợ thuế, phí và tiền sử dụng đất cùng tổng số tiền nợ hơn 131 tỷ đồng tới tháng 10/2017 là những con số do Cục Thuế TP Hà Nội đã công bố. Đặc biệt, có không ít doanh nghiệp liên quan tới hoạt động xây dựng, bất động sản đã lọt vào trong danh sách này.

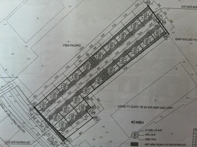
Một trong những doanh nghiệp đứng có số nợ "khủng” được nêu tên đó là Công ty cổ phần Giấy gỗ Hà Đông khi nợ tiền sử dụng đất lên tới 29,523 tỷ đồng tại dự án Dự án đầu tư xây dựng Khu nhà ở Thanh Bình tại 114 đường Thanh Bình, phường Mộ Lao, quận Hà Đông, Hà Nội.
Công ty cổ phần Giấy gỗ Hà Đông có mã số thuế là 0500443391, ngành nghề kinh danh chính là Sản xuất sản phẩm khác từ gỗ; sản xuất sản phẩm từ tre, nứa, rơm, rạ và vật liệu tết bện. Địa chỉ của công ty nằm ở số Số 114 đường Thanh bình, Phường Mỗ Lao, Quận Hà Đông, Hà Nội.
Dự án tại khu đất 114 đường Thanh Bình do Công ty CP Giấy gỗ Hà Đông hợp tác cùng Công ty cổ phần đầu tư phát triển Sunrise, Công ty cổ phần dịch vụ đầu tư tài chính Việt Nam hợp tác đầu tư. Đây là dự án có diện tích rất thuận lợi cho việc sinh hoạt cũng như di chuyển. Dự án tọa lạc trên địa chỉ số 114 đường Thanh Bình, phường Mộ Lao, Hà Đông, Hà Nội. Gần các khu đô thị mới và nối liền với các đường vệ tinh lớn theo quy hoạch của thành phố. Ở thời điểm PV ghi nhận được, các hạng mục thi công tại Dự án này vẫn đang được chủ đầu tư tiến hành hoàn thiện.
Theo quy định tại Điều 42, Nghị định 43/2014/NĐ-CP của Chính phủ nêu rất rõ, khi thực hiện việc chuyển nhượng quyền sử dụng đất, gắn với chuyển nhượng dự án đầu tư xây dựng, kinh doanh nhà ở, chủ đầu tư phải hoàn thành nghĩa vụ tài chính liên quan đến đất đai bao gồm: Thuế đất, tiền sử dụng đất, thuế, phí, lệ phí có liên quan đến đất đai. Khi cấp phép xây dựng, Sở Xây dựng sẽ nhắc nhở chủ đầu tư phải thực hiện nghĩa vụ nộp tiền sử dụng đất trước khi hết thời gian gia hạn.
Được biết, nếu chưa hoàn thành nghĩa vụ tài chính thì chủ đầu tư không được chuyển nhượng công trình, cũng như không được chuyển nhượng, bán căn hộ. Vì vậy, nhiều người mua nhà do thiếu kinh nghiệm, khi thấy công trình được triển khai thì nghĩ rằng chủ đầu tư đã thực hiện mọi nghĩa vụ với nhà nước, dẫn đến nhiều trường hợp mãi không có sổ đỏ vì chủ đầu tư nợ thuế. Và khi có vấn đề xảy ra, người dân sẽ là đối tượng gánh chịu hậu quả nên cần thận trọng.
Theo nhận định của nhiều chuyên gia, người mua nhà có nguy cơ phải “ngậm quả đắng”, gặp rất khó khăn khi làm thủ tục cấp Giấy chứng nhận quyền sử dụng đất và sở hữu nhà chỉ vì doanh nghiệp nợ tiền sử dụng đất. Do đó, người mua nhà cần hết sức cẩn trọng để tránh mua phải những căn hộ có chủ đầu tư chưa hoàn thành nghĩa vụ tài chính nếu không muốn gặp phải rủi ro.
Dưới đây là một số hình ảnh do PV ghi nhận được.





